Baerz & Co is een landelijk samenwerkingsverband van zorgvuldig geselecteerde boutique luxury makelaars. Samen vormen wij één netwerk, met één gedeeld aanbod. De woningen die u op onze website ziet, zijn afkomstig van alle aangesloten kantoren binnen Baerz & Co. Daardoor is niet ieder object rechtstreeks door ons kantoor in verkoop, maar door een gespecialiseerde collega binnen ons netwerk. Heeft u een woning gevonden die u aanspreekt en wilt u meer informatie? Dan brengen wij u graag persoonlijk in contact met de betreffende verkoopmakelaar, zodat u direct en zorgvuldig wordt begeleid.

HAAREN
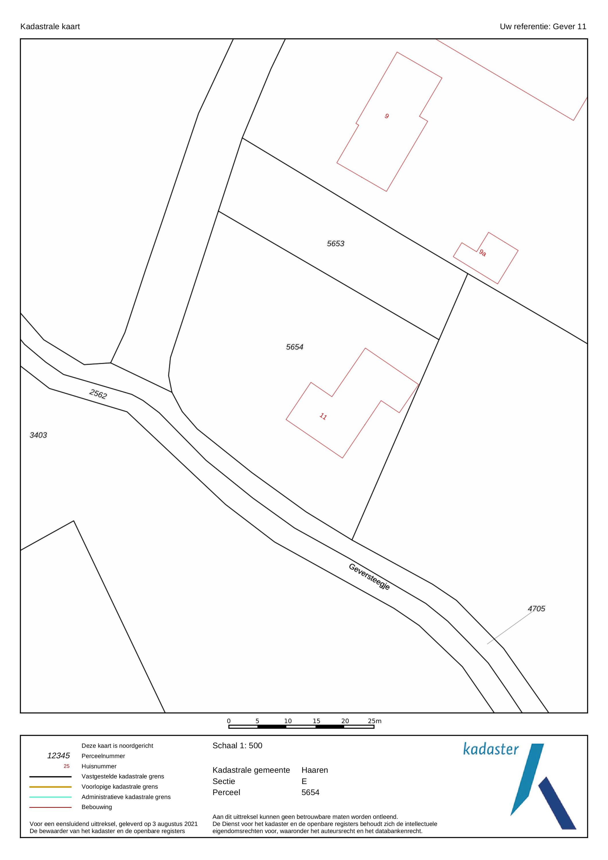
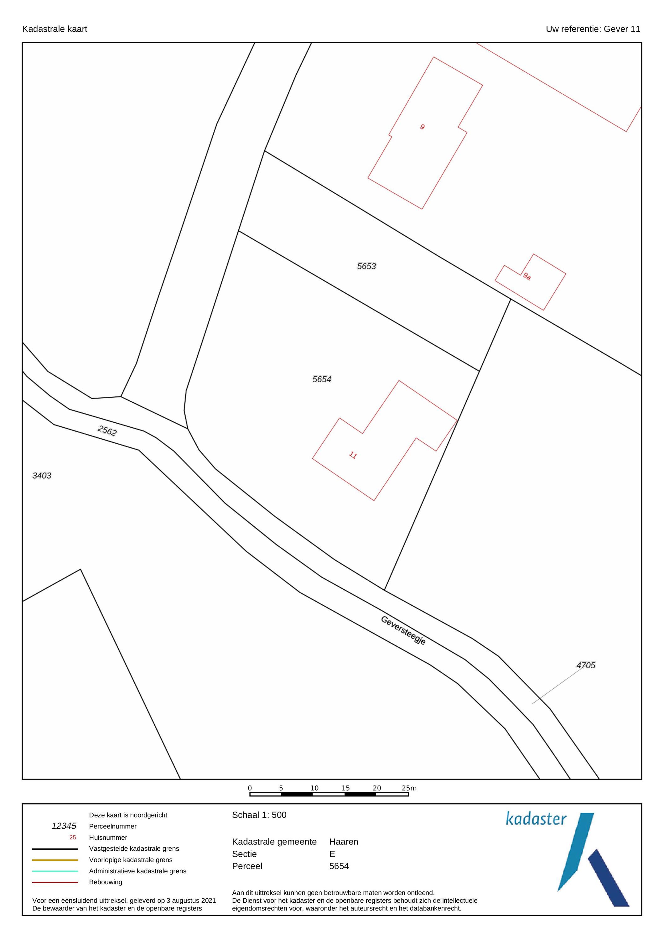
Gever 11 - 5076 NB
Nederland

Sander Bovenkerk profile image
Sander Bovenkerk
Real Estate Agent
€1.435.000 k.k.
Woonoppervlakte
310m2
Perceeloppervlakte
1501m2
Slaapkamers
3

Omschrijving

Karakteristiek, uniek, modern landhuis in uitstekende technische staat van onderhoud met fraaie overkapping, riant souterrain van 75 m2, grote berging (28 m2), plus een carport op een royaal perceel van 1.500 m2 net buiten Oisterwijk! Energiezuinig, voorzien van 23 zonnepanelen en zonnecollectoren.

Dit bijzondere object is in 2020 volledig gemoderniseerd. De woning voldoet dan ook aan alle moderne wooneisen en comfort. Volop gebruiksmogelijkheden dankzij het riante souterrain dat in 2022 compleet afgebouwd is.

Algemeen
Woonoppervlak: ca. 310 m2
Inhoud: ca. 1200 m3
Bouwjaar: 1967 en in 2020/2022 volledig gemoderniseerd
Perceeloppervlak: 1.501 m2
Energielabel A

Indeling

Parterre
Deze woning oogt aan de voorzijde modern en netjes, maar achter de voordeur schuilt een absoluut juweeltje! Wat een verrassende woning, zoals deze kom je er maar weinig tegen. Sfeer en karakter, heel eigentijds, en dat met name door de bijzondere hoogtes, de grote raampartijen en de mooie lichtinval overal in de woning.

De achterzijde van de woning en de ruimte en de vele mogelijkheden die het te bieden heeft, maakt dit object heel bijzonder.

Vanuit de hal treed je binnen, hier bevinden zich de toiletruimte, de trapopgang naar de verdieping en de toegangsdeur tot de woonkamer en keuken.

De woonkamer
De woonkamer heeft diverse sfeervolle ruimtes waar je heerlijk kunt zitten. De open haard zorgt voor nog meer sfeer en extra warmte in huis. De gehele vloer is overigens voorzien van vloerverwarming. Tussen de woonkamer en de televisieruimte is plaats voor een grote eettafel.

De luxueuze keuken
Aan de voorzijde ligt de luxueuze keuken, ruim opgezet, in carré opstelling, voorzien van een Belgisch hardstenen aanrechtblad, diverse inbouwapparatuur waaronder een stoomoven, een vaatwasser, koel/diepvrieskast en een groot stoer 6-pits gasfornuis met twee ovens. Aan de kopse zijde is een gezellig bargedeelte.

Vanuit de keuken is de eetkamer te bereiken met dubbele tuindeuren naar het riante overdekte terras. Tevens is vanuit de eetkamer de carport aan de voorzijde van het huis bereikbaar.

De bar
Hoe bijzonder is het om je eigen bar in je woonkamer te hebben, hoe leuk is het om hier met je vrienden gezellig te borrelen, de dag of de week af te sluiten!

Een tweede toilet op de parterre bevindt zich bij de achterdeur en de vaste trap naar de kelder.

Souterrain/kantoor/bioscoop
Het souterrain is maar liefst 75 m2 groot. Middels een vaste trap in de hal bij de achterdeur is de kelder bereikbaar. Altijd al gedroomd van je eigen bioscoop? Of een fantastisch kantoor? Het kantoor heeft haar eigen ingang. De ruimte is goed geventileerd en volledig geïsoleerd.

Eerste verdieping
Grenzend aan de overloop liggen de badkamer, de wasruimte, een separate toiletruimte en drie slaapkamers, waaronder de master met een royale inloopkast. Vanuit de ouderslaapkamer heb je een prachtig uitzicht over de tuin.

De fraaie badkamer is van alle gemakken voorzien, een hoekligbad, een inloopdouche met hand- en stortdouche en een wandmeubel met dubbele wastafel. Dankzij de grote dakkapel beschikt de badkamer over fijn natuurlijk daglicht en kunt u de ruimte naast mechanisch ook natuurlijk ventileren. De badkamervloer is voorzien van vloerverwarming. Het toilet bevindt zich in een separate ruimte op de overloop.

De wasmachine en de wasdroger kun je plaatsen in de daarvoor bestemde wasruimte. Deze ruimte is voorzien van op maat gemaakte inbouwkasten en heeft een groot dakraam.

Zolder
De zolder is te bereiken met een vlizotrap vanaf de overloop op de eerste verdieping. Ideale bergruimte.

De tuin
De tuin rondom met diverse volwassen bomen is netjes verzorgd, heeft een groot gazon en een riant overdekt terras. Deze van douglas en eiken hout vervaardigde overkapping is een ware eyecatcher! Je kunt hier heerlijk zitten met het gezin, vrienden, familie. Er is ruimte voor zowel een grote tuintafel als een lounge set. De buiten haard zorgt ervoor dat je hier altijd behaaglijk zit, ook wanneer het iets frisser wordt buiten. De gehele tuin is omheind met een hekwerk.

Grote berging en carport
Naast de woning bevindt zich een ruime berging van ca. 28 m2 groot met dubbele deuren. Een fantastische hobbyruimte, hier kun je je wel uitleven als je van klussen houdt. Je kunt hier eventueel ook je auto stallen. Aan de voorzijde van de woning is een brede carport waar je ook je auto’s kunt parkeren.
Bijzonderheden:

Energie:
- 2022 verbouwing met de nieuwste materialen
- super energiezuinig huis met 23 zonnepanelen
- elektrische voorverwarmer in de boiler op zonne-energie
- zonnecollectoren op het verwarmen het water
- elektrische auto oplader
- vloerverwarming begane grond
- vloerverwarming badkamer

Entertainment
- speakers ingebouwd in het plafond bij de bar, keuken, hal en badkamer
- speaker kabels liggen buiten klaar om aangesloten te worden boven de open haard

Afwerking
- natuurstenen oppervlaktes/gevelbekleding gehele huis
- keramische tegelvloer hout look in souterrain en boven verdieping

Tuin
- stopcontact onder de grote boom in de tuin klaar voor een grasmaaier robot laadstation
- huis is gebouwd op verhoogd perceel - klimaatverandering bestendig
- complete tuinverlichting is voorzien van Philips Hue verlichtingssysteem
- planten voor dichtbegroeiing hek geplant einde zomer 2023

Veiligheid
- voordeur en achtertuin voorzien van Ring beveiligingscamerasysteen

Algemeen
- Bijzonder fraaie overkapping grenzend aan de achtergevel van de woning
- Uitstekende staat van onderhoud
- Volledig geïsoleerd
- Voorzien van glasvezel
- Dubbele HR++ beglazing
- Groot perceel 1.501 m2 voorzien van tuinverlichting en omheining
- Aanleg voor een beregeningsinstallatie voorzien
- Grote multifunctionele kelderruimte van ca. 75 m2 - nu in gebruik als kantoor en bioscoop
- Brede carport
- Instap klaar, uitpakken en groots genieten!
- Op enkele minuten fietsen van het gezellige dorp Oisterwijk met al haar faciliteiten en het natuurgebied de Kampina ligt aan de overzijde, hoe mooi wil je het hebben?

Benieuwd naar dit prachtige juweeltje in het buitengebied van Oisterwijk? Kom de sfeer proeven, maak een afspraak met Marleen de Bekker van Finesse Makelaardij voor een bezichtiging aan dit unieke object. Meer info op www.finesse-makelaardij.nl

Kenmerken

Zonnepanelen
Alarm system
Overdracht
Vraagprijs
€ 1.435.000 k.k.
Status
verkocht onder voorbehoud
Aanvaarding
in overleg
Bouw
Soort woonhuis
Landhuis
Soort bouw
vrijstaande woning
Bouwjaar
1967
Energieklasse
A
Soort dak
zadeldak
Slaapkamers
3
Badkamers
2
Oppervlakten en inhoud
Woonoppervlakte
310 m2
Overige inpandige ruimte
0 m2
Gebouwgebonden buitenruimte
63 m2
Externe bergruimte
28 m2
Inhoud
1212 m3
Perceeloppervlakte
1501 m2
faciliteiten
Mechanische ventilatie
Alarminstallatie
Tv kabel
Rookkanaal
Dakraam
Glasvezel kabel
Zonnepanelen
Natuurlijke ventilatie
Buiten bebouwde kom
Baerz & Co Property Brochure

Brochure

Video’s

Heeren Makelaars

Stadionweg 75
1077 SE Amsterdam

info@heerenmakelaars.nl
+31 204702255

www.heerenmakelaars.nl

Informatie / bezichtigingsaanvraag

Sander Bovenkerk profile image
Sander Bovenkerk
Real Estate Agent

Een luxe woning kopen in Haaren

Haaren biedt stijlvol wonen tussen landelijk erfgoed en groene lanen. Wie kiest voor privacy, gemeenschapsgevoel en perfecte bereikbaarheid vindt hier discretie, culturele rijkdom en uitgebreid vastgoedadvies.